
原广州市国土资源和房屋管理局于2006年12月27日核发拆许字〔2006〕第43号房屋拆迁许可证,并以穗房拆字〔2006〕43号房屋拆迁公告予以公布。根据拆迁人的申请,我局同意核发延拆许字〔2020〕第23号房屋拆迁许可证。现将房屋拆迁许可证的内容和有关事项公布如下:
一、建设项目名称:商业用地(政府储备用地)。
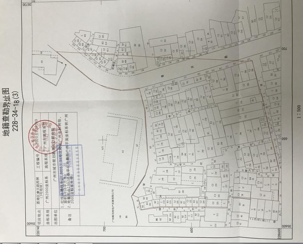
二、拆迁地点和范围:荔湾区猪仔圩1号、3号、5号、7号、9号左、9号右、11号、13号、15号、17号、19号、21号、23号、27号、29号、31号,福华坊1号、3号、5号、7号、9号、11号、13号、15号,龙华东街1号、3号、4号、6号、8号、10号,观栏坊1号、3号、5号、7号、9号、11号、13号、15号、17号、19号、21号、23号、25号、2号、4号、6号、8号、10号、12号、14号、16号、18号、20号,带宁里1号、3号、5号、7号、9号、11号、3号之一、11号之一、2号、4号、6号、8号、10号、12号、14号、16号,带河路151号、153号、155号、157号、159号、161号、163号、169号、171号、175号,泰兴街32号、34号、36号、38号、40号、42号、29号、31号、33号、35号、37号,兴光里2号、4号、6号、8号、10号、12号、14号、16号、18号、20号、22号、24号,带河路原门牌184号、186号、188号、190号、192号、194号、196号、198号、200号、202号、204号、206号、208号、210号,显耀里1号、2号、4号。(详见附图)
三、根据原广州市国土资源和规划委员会《关于明确康王路3号地块现有建筑保护要求的复函》(穗国土规划函〔2018〕1498号)明确康王路3号地块红线内,经文化遗产普查登记为传统风貌建筑线索的共有3处,分别是:带河路165号民居、带河路167号民居、带河路173号民居。以上具体建筑的保护利用方案以规划许可为准,未经批准不得拆除。
四、拆迁人:广州市土地开发中心。
五、拆迁实施单位:广州市荔湾区道路扩建工程办公室。
六、拆迁期限:2020年8月20日至2021年8月19日止。
七、拆迁人员进行房屋拆迁工作时,应当佩带相关证件;未佩带相关证件的,被拆迁人、房屋承租人有权拒绝与其协商。
八、对我局核发的本公告公布的《房屋拆迁许可证》有异议的,可在公告公布之日起60日内向广州市人民政府或广东省住房和城乡建设厅申请行政复议,也可在公告公布之日起6个月内向人民法院提起行政诉讼。行政复议、行政诉讼期间不停止拆迁的正常进行。
九、相关资料可以向拆迁人索取。
拆迁人联系地址:越秀区豪贤路193号
联 系 人:刘伟东
联系电话:83908009
拆迁人员名单:刘伟东、张远友
世界杯压球官方网站(代章)
2020年8月20日
附件:附图
主办单位:世界杯压球官方网站承办单位:世界杯压球官方网站
Copyright © 1996至今世界杯压球官方网站 保留所有权利
网站标识码:4401000085工信部备案:粤ICP备09161546号-10
粤公网安备:44010402000417
IE9.0以上版本浏览器 最佳分辨率:1920x1080
总访问量:-人次

